© 2025 Radio-Tednik Ptuj, d.o.o. - Vse pravice pridržane.

Slovenska Bistrica: Gospodarsko ministrstvo podprlo širitev Impola


Mojca Vtič
30. 11. 2016, 09.36
Posodobljeno
10. 07. 2017 · 03:44
Deli članek
Facebook
Kopiraj povezavo
Povezava je kopirana!
Deli
Velikost pisave
Manjša
Večja

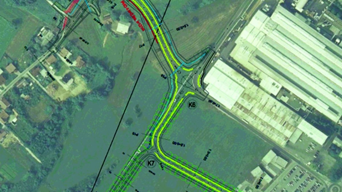
Gospodarsko ministrstvo je Občini Slovenska Bistrica odobrilo sofinanciranje širitve industrijske cone Impol, in sicer v višini 2,1 milijona evrov. Celoten projekt z vsemi stroški (gradnja, odkupi zemljišč, priprava dokumentacije …) je ocenjen na približno 2,8 milijona evrov.

1480498666_mv-poslovna_cona.jpg
Arhiv Štajerskega Tednika

S tem projektom je predvidena izgradnja komunalne infrastrukture, ki bo omogočala širitev podjetjem v coni Impol. V okviru projekta naj bi se zgradilo krožišče na Partizanski ulici s povezavo do štirikrakega križišča na Kajuhovi ulici. Občina Slovenska Bistrica bo takoj po podpisu sofinancerske pogodbe z Ministrstvom za gospodarski razvoj in tehnologijo pristopila k izvedbi razpisa za izbor izvajalca gradbenih del in nadzora. Skladno z zastavljenimi roki je izvedba projekta predvidena prihodnje leto.

Zmogljivost daljnovodov do Impola na robu zmogljivosti

Kdaj se bo gradila obvoznica, ni znano

Preberite več v Štajerskem Tedniku

E-novice

Prijavite se na e-novice in bodite vedno na tekočem z novicami, dogodki in zgodbami iz vašega okolja.

Hvala za prijavo!

Na vaš e-naslov smo poslali sporočilo s potrditveno povezavo.


Logo LAS - Evropa investira v podeželje Triglav

© 2025 Radio-Tednik Ptuj, d.o.o.

Vse pravice pridržane.